Page:Downey•Quartz·Reefs·West·Coast•1928.pdf/114

This page has been validated.

116

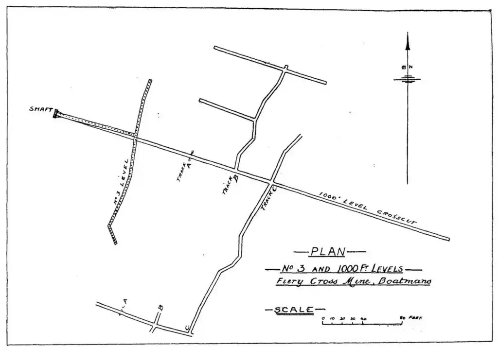
Fig. 12.—Plan of 1,000 ft. Level, Fiery Cross Shaft, Boatman’s.